Tin tức 24h
Kinh tế
Văn hóa
Giải trí
Đời sống
Du lịch
Beauty & Fashion
Doctor 247
Tin tức 24h
Kinh tế
Văn hóa
Giải trí
Đời sống
Du lịch
Beauty & Fashion
Doctor 247
cách đặt tên bão
Cập nhập tin tức cách đặt tên bão
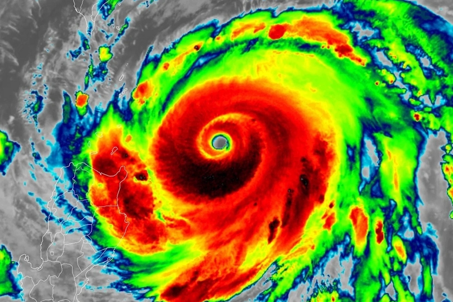
Tên siêu bão Ragasa do nước nào đặt?
Tên Ragasa - siêu bão mạnh nhất thế giới tính từ đầu năm, có nghĩa là "chuyển động nhanh, đột ngột", do một nước Đông Nam Á đề xuất.
Tin tức 24h
Đọc nhiều
POWERED BY
ONE
CMS
- A PRODUCT OF
NEKO