Cho ôtô vào cao tốc Cần Thơ - Hậu Giang từ sáng 22/12
9h ngày mai, ôtô được chạy trên gần 38 km cao tốc Cần Thơ – Hậu Giang với tốc độ 60–80 km/h.
Trước đó đoạn cao tốc nói trên tính đưa vào khai thác sáng 20/12, song phải lùi lại hai ngày để dọn dẹp công trường và kiểm tra điều kiện vận hành.

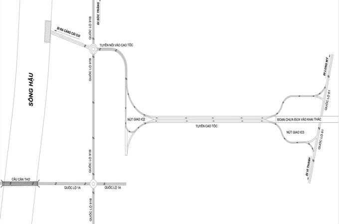
Theo phương án khai thác mới nhất từ Ban Quản lý dự án Mỹ Thuận (chủ đầu tư dự án), hướng vào cao tốc tổ chức từ quốc lộ 91B (Nam Sông Hậu) về Cảng Cái Cui (phường Cái Răng, TP Cần Thơ). Đến vòng xoay vào cảng, xe rẽ vào tuyến nối dài khoảng 2 km để vào nút giao IC2.
Từ IC2, ôtô chạy trên cao tốc gần 38 km đến nút giao IC5 (xã Vị Thủy, TP Cần Thơ) và ra quốc lộ 61 qua các tuyến nhánh. Chiều ngược lại, xe từ quốc lộ 61 vào cao tốc tại IC5, đi đến IC2 rồi ra quốc lộ 91B.

Tốc độ tối đa trên tuyến chính là 80 km/h, tối thiểu 60 km/h; tại các nhánh nút giao tối đa 40 km/h. Xe gắn máy, xe thô sơ và người đi bộ không được vào cao tốc.
Sau gần ba năm thi công, cao tốc Cần Thơ – Cà Mau dài gần 111 km, quy mô 4 làn, mặt cắt ngang 17 m, tổng vốn hơn 27.500 tỷ đồng cơ bản hoàn thành. Giai đoạn một gồm hai dự án thành phần: Cần Thơ – Hậu Giang dài 37,65 km (hơn 10.300 tỷ đồng) và Hậu Giang – Cà Mau dài hơn 73 km (hơn 17.150 tỷ đồng).
Đoạn Hậu Giang – Cà Mau sẽ thông xe sáng 31/12. Khi hoàn thành toàn tuyến, thời gian đi từ TP HCM đến Cà Mau dự kiến còn khoảng 3,5–4 giờ, giảm gần một nửa so với quốc lộ 1.

An Bình