Siêu bão Fung Wong chưa đổ bộ đã gây chết người ở Philippines
Giới chức Philippines cho biết một phụ nữ đã thiệt mạng vì sập nhà giữa gió lớn, dù siêu bão Fung Wong chưa đổ bộ vào nước này.
Lực lượng cứu nạn Philippines hôm nay cho biết thi thể người phụ nữ 64 tuổi được kéo ra khỏi ngôi nhà sập ở thành phố Catbalogan, tỉnh Samar. Đây là nạn nhân đầu tiên thiệt mạng vì Fung Wong, dù siêu bão chưa đổ bộ vào bờ biển nước này.
Người phụ nữ đã cùng gia đình sơ tán từ tối 8/11 theo khuyến cáo của chính quyền, nhưng không rõ vì sao lại quay trở lại nhà. Ngôi nhà của bà đã sụp đổ, nhiều cây cối bật gốc khi mưa lớn và gió mạnh tấn công khu vực này trước khi bão đổ bộ.
Theo Cơ quan Phòng vệ Dân sự Philippines, gần 1,2 triệu người đã được sơ tán khi Fung Wong mạnh lên cấp siêu bão và dự kiến đổ bộ vào nước này đêm nay.
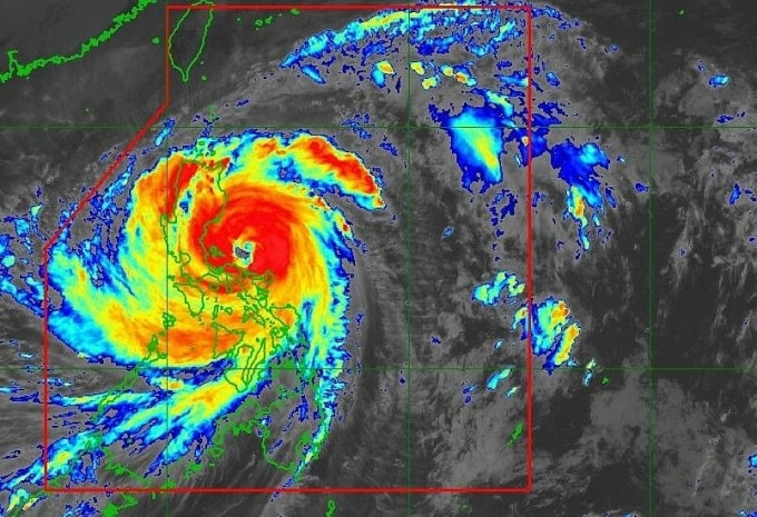
Siêu bão Fung Wong, tên địa phương là Uwan, duy trì sức gió mạnh nhất 185 km/h và với tốc độ gió giật lên tới 230 km/h. Fung Wong hiện di chuyển về phía tây, tây bắc với tốc độ khoảng 30 km/h, theo Cục Khí tượng Quốc gia Philippines (PAGASA).

Mức cảnh báo cấp 5, mức cao nhất biểu thị "mối đe dọa cực độ với tính mạng và tài sản", đã được ban hành ở các khu vực đông nam và miền trung đất nước, gồm tỉnh Catanduanes, Camarines Sur và Aurora. Vùng đô thị Manila và các tỉnh lân cận được đặt trong cảnh báo cấp 3.
Bộ trưởng Quốc phòng Gilberto Teodoro kêu gọi người dân trong vùng ảnh hưởng tuân thủ lệnh sơ tán, cảnh báo rằng việc từ chối sơ tán là hành động bất hợp pháp.
"Chúng tôi yêu cầu người dân sơ tán trước để không phải thực hiện những nỗ lực cứu nạn vào phút chót, bởi điều này có thể gây nguy hiểm đến tính mạng của cả lực lượng chức năng", ông nói.

Fung Wong là cơn bão thứ 21 trong năm nay tấn công Philippines, đe dọa làm gia tăng áp lực và gánh nặng cho chính quyền và người dân khi đảo quốc vừa trải qua cơn bão Kalmaegi khiến 224 người chết đầu tuần này. Quân đội Philippines đã huy động khoảng 2.000 binh sĩ cho nhiệm vụ hỗ trợ nhân đạo và ứng phó thảm họa.
Tại Isabela, phía bắc Luzon, hàng chục gia đình đang trú ẩn trong một sân bóng rổ được chuyển thành trung tâm sơ tán. "Chúng tôi rất sợ hãi", Christopher Sanchez nói khi đang ở nơi sơ tán cùng gia đình.
Thanh Tâm (Theo AFP, Reuters, PhilStar)